After more than three hours of testimony, the Hopewell Township Planning Board on Oct. 23 continued its review of the proposed “The Venue” senior housing development off Nursery and Scotch roads, carrying the matter to Nov. 20 at 7 p.m. on Zoom, when the board will begin taking public comment.

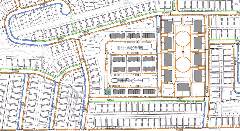
The Venue is a 600-unit, all-rental 55+ (age-restricted) senior housing community proposed as part of Hopewell Township’s 2019 affordable housing settlement, later upheld by a 2023 appellate court decision. The plan includes 480 market-rate rental units and 120 affordable rental homes on a 180-acre site near Nursery and Scotch roads. Earlier hearings in July focused on regulatory review of stormwater design and coordination with the Twin Oaks petroleum pipeline, which crosses the property.
The session marked the first substantive hearing on the application since July and focused on compliance with updated NJDEP stormwater rules, construction safety around the Twin Oaks petroleum pipeline that crosses the site, screening and fencing along neighboring properties, and the final layout of sidewalks within the development.
Storm-water standards and NJDEP review
The application had been held for months while the board sought confirmation that the project complies with updated NJDEP stormwater rules, which require developers to reduce peak runoff and maintain infiltration on-site using green infrastructure.

Township engineer Mark Kataryniak and township engineer Wendy Birkhead said the revised plans now satisfy the substantive performance requirements. The 38 remaining comments in the October 22 review memo are limited to plan-clarification items and do not affect basin sizing, grading, or infiltration performance.
Birkhead described the outstanding issues as “extremely minor in aspect.” Kataryniak explained that the updated rules require lower peak runoff than exists today and at least as much groundwater infiltration as occurs under current site conditions. He said the design now “stands as approvable by DEP” and confirmed that any later revision affecting the basin footprint or grading would require the applicant to return to the board.
Pipeline easement and safety oversight
Another major area of inquiry was the Twin Oaks petroleum pipeline that crosses the property. The line is the same mixed-use pipeline system that leaked thousands of gallons of jet fuel into a Bucks County neighborhood earlier this year, prompting a federal consent order requiring Sunoco to inspect and certify the entire line from Philadelphia to Newark.
Attorney for the applicant Jason Tuvel said the Lennar has submitted the pipeline easement and the May 2025 consent order to the planning board, but there has been no public update yet indicating whether the Hopewell Township segment of the pipeline has been inspected or certified under that agreement. Acting Board Chair Paul Kiss said he has observed inspection crews and helicopters along the easement that crosses his own property. The Pipeline and Hazardous Materials Safety Administration (PHMSA) is the federal agency in charge of the safety of the pipeline. They had ordered the entire pipeline be checked for additional leaks.
Kataryniak said that while pipeline safety is federally regulated, the Planning Board retains jurisdiction over how construction interacts with the easement. He recommended conditions requiring the applicant to follow federal crossing protocols, limit activity to four designated crossing points, survey-mark and fence the easement prior to construction, and notify the township when Sunoco enters the site. Board attorney Francis Linnus confirmed that these conditions fall squarely under municipal land-use authority. The applicant agreed to all of these additional requirements.
Screening, wall height, and fencing

The board also reviewed buffering along the southern property line, where the applicant may seek a variance to allow fencing up to eight feet high in areas where neighbors requested additional privacy. The fences would sit atop a modular masonry retaining wall ranging from three to fifteen feet in height, depending on elevation.
Several board members emphasized that the design must be visually appropriate for Hopewell Township and not a generic or industrial-style barrier. Kevin Kuchinski referenced a recent case in which a vinyl fence was replaced with a more fitting agricultural-style design after a review with residents. Kiss noted that a hybrid style may ultimately be necessary to balance screening with community character. The applicant agreed to work with township staff, nearby property owners, and the Township Committee before presenting final materials.
Sidewalk revisions
The applicant also presented updates to sidewalk placement throughout the development. The plan now proposes no sidewalks on the side of a street with no homes, such as cul-de-sacs or roadway edges that do not front residences, while still ensuring pedestrian circulation internally.

After board member Andrew Swords raised concerns about three streets that do front homes but included only one sidewalk, the applicant agreed to add sidewalks on both sides. Township engineer Mark Kataryniak also recommended extending the sidewalk in front of the five duplexes, noting that “wherever there’s a home, that home fronts a sidewalk.”
Separately, the sidewalk segment along Nursery Road at the project’s southern end, was asked about by Ewing resident, and neighbor to the property Irene Goldman, because the sidewalks went nowhere. These perimeter sidewalks were requested by Mercer County and will be reevaluated after the board agreed it would not connect to any existing pedestrian network and could pose a safety issue. The applicant will follow up with the county to see if they can be removed.
Early resident testimony
Members of the public attempted to raise broader questions about the pipeline and environmental risk, but several expressed frustration that they were unable to direct concerns to the witnesses most relevant to those issues during this portion of the hearing.
Tom Wilkinson of Ewing Township pressed for clarity on when the public would be able to address the pipeline directly, asking:
“When are we allowed to talk about the pipeline? … This is not about trees and it’s not about deer. It’s about the possibility of a serious public health issue very close to all of us in this community now and in the future.”
He added that it is “the very same pipeline … 68 years old” that failed “with catastrophic consequences five miles away.”
Jim Burd of Nursery Road in Hopewell Township raised a related concern — not about the pipeline itself, but about where accountability resides if neither the Planning Board nor the Township Committee will hear the issue. He noted that if directed to the Township Committee, he would likely be referred back to the Planning Board, creating what he described as a procedural loop.
Because of time constraints, the board did not move into public comment. That portion of the hearing will begin next month.
Other board business
Earlier in the meeting, the board:
- Approved a time extension for final plan signature for the Princeton West Innovation Campus;
- Carried the Gillespie minor subdivision to a later date; and
- Carried the Enzene application to Nov. 20, with no further notice required. Enzene, a tenant at the Princeton West Innovation Campus, submitted an application involving exterior lighting and site modifications — at a special meeting on Oct. 7 before being carried to Nov. 20 for the revised plans.
Next hearing
The Venue application will resume Nov. 20 at 7 p.m. via Zoom, when the board will begin taking public comment.